ハワイ ダイビングの紹介

2003年06月07日 ハワイのシータイガーでレックダイビング

1.本日のダイビング船
3.サーファー向きの波
5.シータイガーの船室
7.ヨスジフエダイの群れ

9.ヨスジフエダイの群れに突っこみました

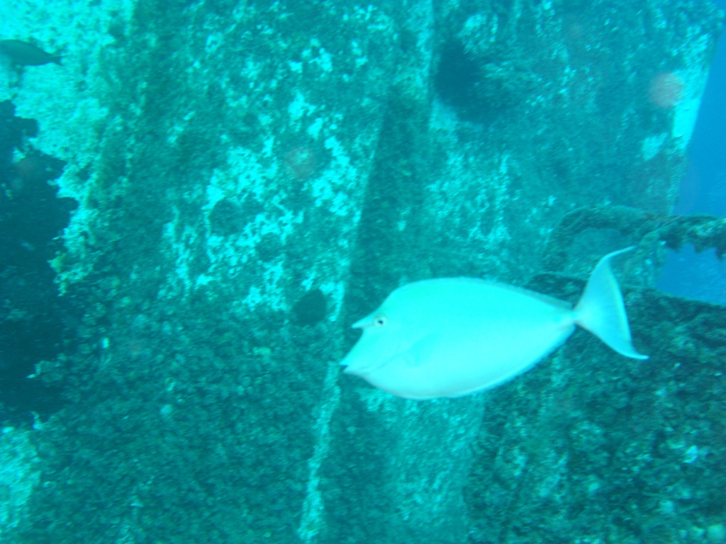
11.ミゾレチョウチョウウオ
 

長いようで短かった1週間のハワイダイビング漬けの日々も今日で終わりです。最終日は昨日と同じくケワロ港から出航です。船は昨日と違います。この船(1)は2月にAOWとったあとにZX DIVINGのキコさんと初ファンダイブで使った思い出の船です。 屋根の上の黄色いところが操舵場所です。ボートキャプテンがココに座ります。

 ケワロ港を出航してケワロ港の風景を船からパシャリ(2) 。フィッシャーマンズワーフが写ってますね。

 ケワロ港を出て直ぐ、今日も高い波をパシャリ(3)。今日もサーフィン日和です(;^_^A アセアセ…

 ポイントに向かう途中に、観光用の潜水艦(アトランティス号)がワイキキ沖に曳航されているのをみました(4)。今日もダイビング時間が早すぎて、海中で潜水艦と潜水艦の乗客に”こんにちわ”は出来そうもないですね(^_^)  いつかは、海中で潜水艦の写真を撮ってみたい。だって、ある意味海中で出会える一番大物だもん。

 今日の船は普通に後部からジャイアントストライドでエントリーするタイプです。カレントラインとタグラインはハワイなので当然完備されてます。エントリー時にZX DIVINGガイドのノグチさんと”流れはほとんどなさそうなので、タグラインを掴んでバウに向かって潜降ロープを使うのではなくて、後部からエントリーしたら直ぐ潜降して海中を潜りながら潜降ロープに向かいましょう”と打ち合わせしました。というのも、俺っちのフィンはsnorkelingには向いてないので、バウに水面移動するのがしんどいので、俺っちが潜りながらバウ方向への移動をリクエストしたのでした。

 今日のポイントは沈船・シータイガー。このシータイガーは船と同じく、2月にAOW取った後に初ファンダイブしたポイントです。その時は初ファンダイブだったので、一瞬でエアーが無くなって水深25m付近の甲板上を船の半分まで行ったところで引き返したという、悲しい思い出が・・・。今回はそのリベンジです。

 エントリーして打ち合わせ通り直ぐに潜降。とりあえず、無事に水深25mの甲板に到着。甲板からシータイガーの船室をパシャリ(5)。

 甲板上には沈船にはつきものの、ヨスジフエダイの群れ(6と7)が綺麗です。俺っちはヨスジフエダイの群れ大好き!

 そして、甲板にはテングハギ(8)がいました。テングハギを見るのはこれが初めてです。ラッキー!

さらに、2月の初ファンダイブ時と違い、今回はエアーの心配が無いので水深31.7mの海底まで進みます。

 そこから徐々に水深を上げながら船の周りを回りました。甲板付近の水深まで戻ってくると、近くにヨスジフエダイの群れがいたので、その中に突っこんでいって写真を撮ってみました(9)。

 そして、甲板上のミゾレチョウチョウウオを狙いました。ミゾレチョウチョウウオは昨日まで何度も写真を撮っているのですが、なぜかピンぼけばかり。それと、この魚は英語では”ブルーヘッドバタフライ”というのですが、写真ではブルーがなかなか写らないのです。でも、ブルーがちゃんと撮れました(10)。頭の一部が青いでしょ!

 11はピンとばっちり拡大ばっちりのミゾレチョウチョウウオ。これで、ミゾレチョウチョウウオは制覇だ!

 今回のダイビングは、結局 潜水時間27分でした。エアーは90も残ってました。しかも、船の周りを一周しましたヨ! 
2月のリベンジ成功です\(^^@)/
俺っちのリベンジを祝うようにヨスジフエダイが舞ってました(12)。


☆今回のダイビングでの教訓☆
 シータイガーを一周制覇して、確信を持ったぜ! 俺っちのエアーはもう大丈夫! 

2.ケワロ港だよ
4.観光用潜水艦の曳航

6.シータイガーの甲板上

8.テングハギ
10.ミゾレチョウチョウウオ(ブルーヘッドバタフライフィッシュ)

12.ヨスジフエダイの群れ

 

Copyright ©2007-2011 Dive to Blue