ハワイ ダイビングの紹介
2004年02月17日 ハワイのカヘでビーチダイビング 〜エレクトリックビーチ〜
|  | 1) 午前に2本を西側ボートで潜った後、ワイキキに帰る途中に位置するカヘに行った。体験組は別の車で、ワイキキに先に帰った。
        カヘはビーチの直ぐそばに発電所があるので、別名”エレクトリックビーチ”と呼ばれている。 | 
| 1) エレクトリックビーチ。沖合のモヤモヤとした | 
 | 
|  | 2) こっちはエントリーする場所です。木の向こう側の小屋の左手からエントリーする。 今回潜るのは、俺っちとキコさん、そしてプライベートで潜りに来ているキコさんのお友達夫婦のイントラさん2人。最初は一緒に行こうと言っていたが、結局2チームで別々に潜ることになった。 | 
| 2) ハナウマ湾全景 | |
| 3) フロートを持ってエントリーして、適切なところにフロートをキコさんが結びつけた。 | |
| 3) フロートを結びつけるキコさん | 
 | 
|  | 4) 太い排水パイプに沿って、沖の方に出て行った。途中で、セダカギンポがいた。 いつもは、珊瑚の中に直ぐ隠れてしまって頭ぐらいしか写真に撮れないのだが、今回は全体の写真が撮れた \(^^@)/ こんな模様だったんだ。首から下(魚にくびってあるのか?) の模様が違うと初めて知ったヨ。 | 
| 4) セダカギンポ | |
| 5) ここはベラ科の魚がいっぱい見られるポイントだった。 | |
| 5) クギベラ ♀ | 
 | 
|  | 6) この魚は、ショートノーズラスというハワイ固有種のベラです。 オレンジ色が綺麗なので、俺っちが好きな魚だ。 | 
| 6) ショートノーズラス (固有種) | |
| 7) これは、ツユベラとショートノーズラスの豪華(?)ツーショット。 | |
| 7) ショートノーズラス (固有種)とツユベラ | 
 | 
|  | 8) 急に排水パイプが大きく山のように盛り上がったような地形になった。この根には色んな魚がいっぱいいた。 キコさんは少し前を行って珍しい魚がいないかと、探してくれる。 この根のトップは水深5mぐらい。 | 
| 8) 排水口付近の山のような根の上行くキコさん | |
| 9) 根のふもとにはヨスジフエダイの群れと、ホウセキキントキの群れがいた。 | |
| 9) 根の麓にいるヨスジフエダイと、ホウセキキントキ (固有種)の群れ | 
 | 
|  | 10) 突然キコさんが、叫んだ。で、指さす方向を見ると、水面付近に、1.5mぐらいはありそうな大きな細長い魚が優雅に泳いでた。 根ノ上の水深5m付近までゆっくり浮上して、写真を撮ったら、じろっと睨まれた。 フラッシュ焚いたのがイケなかったの?と思って、俺っちは慌ててフラッシュ止めた。どう見てもダツなんだもん、光はマズいですよね(;^_^A アセアセ… | 
| 10) デッカいオキザヨリ | |
| 11) フラッシュを止めて、突進してくる危険性が無くなったので、安心して写真を撮りまくった。 | |
| 11) CROCODILE NEEDLEFISH (オキザヨリ) | 
 | 
|  | 12) オキザヨリをしばらく観察して、大きな根の沖側に降りた。そこには、直径4mぐらいありそうな排出口が3つあった。 かなりの勢いで排水されているようで、魚が近づいては飛ばされ、近づいては飛ばされを繰り返していた。 なんか大砲って感じですね。 | 
| 12) 温水の排出口 | |
| 13) 正面に回って、排出口を見た。色んな魚がいっぱい温水につられて、いっぱいいる。 | |
| 13) 排出口を正面から見る | 
 | 
|  | 14) しばらく排出口の前で魚が飛ばされるのを観察した後、今度は沖に向かって右側に進んだ。 こっちは白砂がずーっと広がっていて、 綺麗。 でも、根がほとんど無いので魚は少なかった。 水深8mぐらいなので、太陽の光が届いて、気持ちいい。 透明度もいうことなし! | 
| 14) 白砂を進むZX DIVNGのキコさん | |
|  | 15) 白砂でのんびり浮遊感を楽しんだ後、また排出口正面に戻った。 
 | 
| 15) 楽しいイントラ3人組 (固有種) | |
|  | 16) これはブルーストライプバタフライ。 | 
| 16) ブルーストライプバタフライ (固有種) | |
|  | 17) 今度は正面から見て排出口の右側に回った。 | 
| 17) ハワイアンサージャント (固有種) | |
|  | 18) 排出口の右の壁には、透明なウミウシらしき物体が何匹かいた。たぶんウミウシだと思うけど、俺っちはウミウシは苦手なのだぁ(;^_^A アセアセ… | 
| 18) 排出口付近の壁にいたウミウシ | |
|  | 19) ウミウシがいた壁にはハワイ固有種のチョウチョウウオのマルチバンドバタフライもいた。 | 
| 19) マルチバンドバタフライ (固有種) | |
|  | 20) かなり長い時間いたので、引き返すことにした。 途中でハワイアンビッグアイというハワイ固有種の群れとまたであった。 うーん、ホウセキキントキとの違いがよくわからない。だれか違いを教えて下さい<_o_> | 
| 20) ハワイアンビッグアイ (固有種) | |
|  | 21) 配水管に沿って戻るのかと思ったら、それて砂地にまた行った。 
 | 
| 21) 砂地に群れるアカヒメジ | |
|  | 22) 小さな根があって、ガンガゼの横にツユベラの幼魚を見つけた。 ツユベラの幼魚はガンガゼに出たり入ったりして、身を守っているようだった。 俺っちは、ガンガゼから出てくるタイミングをじっと待って、写真を撮った。 | 
| 22) ツユベラの幼魚 | |
|  | 23) 砂地にツノダシが一匹寂しそうに泳いでた。 
 | 
| 23) ツノダシ | |
|  | 24) 砂地を進んでるときに、キコさんが何かを発見。 遠くの砂地を指さしてる。 目を凝らして指さした方を見ると、なにかが頭だけ砂から出して口を激しくパクパクさせていた。 俺っちは、ハワイの魚図鑑を持っているので、それの付録ページに載っているハワイ固有種だと、気づいた。 フレックリッドスネークイール (FRECKLED SNAKE EEL)です。これはオアフでも、ここ”カヘ(エレクトリックビーチ)”でしか見つかっていないようだ。 かなり珍しいと思う。 キコさんはどうやらこれを探すために砂地に寄り道したみたいだった。キコさんに感謝! <_o_> | 
| 24) フレックリッドスネークイール (FRECKLED SNAKE EEL) (固有種) | |
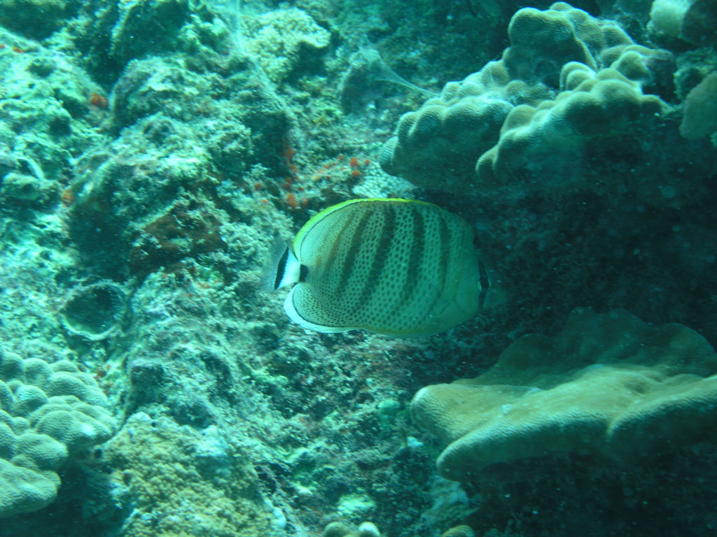
|  | 25) トゲチョウチョウウオもいた。あと、他にハナグロチョウチョウウオもいた。 | 
| 25) トゲチョウチョウウオ | |
|  | 24) エグジット後に、キコさん、ナツミちゃん、ケンさん、リカさんとジュース飲みながら、しばし談笑。 その後ワイキキに向かった。 ワイキキ付近は西側と風景が大きく違って都会! こんな都会なのに素晴らしい海があるハワイ・オアフ島は最高だと思う! | 
| 26) オアフに向かうハイウエイで事故目撃 | |
| ☆潜水データ 最大水深;9.1m 平均水深;6.1m 潜水時間;76分 透視度;25m 水温;25℃ 海況; | ☆おまけ | 
|  | 







