|  | 1) 2本潜った後は、昼食タイム!ブルーコーナー近くの島陰にボートを停泊させました。
 他のショップの船も何隻かいた。
 他のショップの船の若い女なの子達は、食べ終わった後元気に(?)シュノーケリングしてたヨ。シュノーケリングはカモフラージュかもしれないけど(;^_^A アセアセ…
 俺っちは食べ終わった後、ウエットスーツを脱いで海に入って、船の縁につかまりながらオシッコした。清潔な俺っちは、ウエットスーツを着てオシッコしたことはまだ一度もないのだよ。 しかもトイレ以外だと、なかなか出なくて苦労する。
 
 | 
      
        | 
 | 2) 3本目のポイントはニュードロップオフ。小池さんの期待する潮の向きとは逆だったようで、しばらく待ったが向きは変わらず。結局エントリーポイントをずらして、エントリ!エントリーして、 サメより恐いゴマモンガラ発見!
 | 
      
        | 
 | 3) 魚はあいかわらずいっぱいいるのだが、ブルーコーナーほど大型の魚が群れているという感じではなかった。ドロップオフの壁際には、パープルクイーン(ハナゴイ)がいっぱいいた。
 クマザサハナムロもいっぱいいたヨ!
 | 
      
        | 
 | 4) ブダイも色々いたのだが、俺っちブダイは苦手で、見分けが付かないのだ。このブダイは何ブダイかわかりません。ブダイって特徴が少ない割に、いっぱい種類いるんだよなぁ・・・。
 他の魚を全部覚え終えて、覚える魚がいなくなったらブダイの名前覚えるだろうけど、まあ当分ブダイは無視です(^_^)
 | 
      
        | 
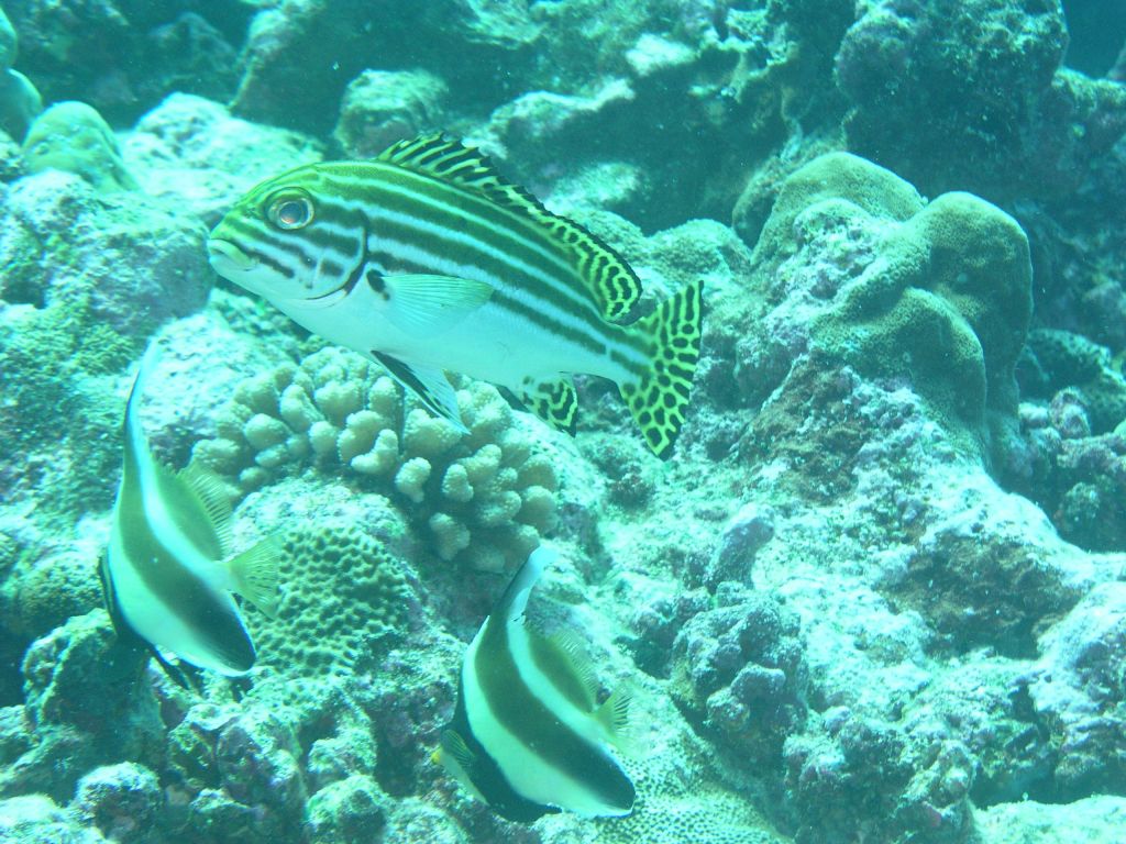
 | 5) こいつは、ヒレグロコショウダイ。ムスジコショウダイに似ているけど、6本もスジがないのだ。
 ヒレグロコショウダイも俺っちは見たのはこれが初めてだ。
 | 
      
        | 
 | 6) この淡いブルーが綺麗な魚は、サザナミトサカハギの♂です。ヒレが綺麗に伸びているいい状態の写真が撮れたヨ
 
 サザナミトサカハギは普段は茶褐色なのだが、雌がいて興奮したときなんかに雄はこんな色になるらしい。
 よく見ると、写真にサザナミトサカハギの雌も一緒に写っている。背中からだからよく見ないと気づかないけどね(^_^)
 この雌に発情して、こんな綺麗な色になったサザナミトサカハギの♂を偶然写真に撮れてラッキー!だった。
 
 | 
      
        | 
 | 7) こいつはニシキヤッコ。ニシキヤッコは綺麗なので、パラオ以外で見かけると嬉しい魚なのだが、パラオではごく普通の魚に見えてしまうところが、パラオは恐ろしい。
 
 
 | 
      
        | 
 | 8) ハナグロチョウチョウウオによく似ているけど、なんかちょっと違うなぁ・・・と思って写真に撮って、図鑑で調べてみた。ハナグロチョウチョウウオだったらシマがオレンジ色なのだが、このチョウチョウウオは黒。
 オウギチョウチョウウオという俺っちが見たことのないチョウチョウウオだった。しかも、かなりレアものらしい。
 
 チョウチョウウオフェチ(?)の俺っちとしては、超嬉しかったのは言うまでもない!
 | 
      
        | 
 | 9) こいつはアケボノチョウチョウウオ。サイパンで一匹だけ見たことあるのだが、また会えて嬉しかったヨ!
 このチョウチョウウオも綺麗でお気に入り!です
 
 | 
      
        | 
 | 10) ダイビングも終盤になって、棚の上に止まってドロップオフ側を眺めていると、オイシそうなレインボーランナー(ツムブリ)の大群が突然現れた。パラオは本当に群れ、群れ、群れって感じで魚が現れます。魚の餌となる浮遊物が多いから、いっぱい魚が育つんだと思う。でも、そのかわり透明度は案外良くなくて、写真撮ると白っぽくなる。
 雑誌によくあるパラオの抜けるような真っ青な海の写真を想像して入ると違いにびっくりするかも・・・。写真は恐い・・・。
 | 
      
        | 
 | 11) なんと、ツムブリのすぐ後を今度はオオメカマスの大群が現れた。まるで、ツムブリを追いかけているかのように、ツムブリの大群の最後尾にとぎれることなくオオメカマスの大群が続いてたヨ
   | 
      
        | 
 | 12) リーフの方を振り返ると、小さなアオウミガメ君が登場!小さくて可愛い (^_-)-☆
 パラオのダイビングでウミガメに何度か出会ったが、ウミガメはハワイ・オアフ島の方が圧倒的に多いと思う。
 こんなに魚が多いのに、ウミガメ君はあんまり多くないようだ。
 | 
      
        | 
 | 13) ツバメウオがポツンと一匹いた。パラオで12本潜って、ツバメウオ見たのはこの一匹だけ。
 ツバメウオも少ないのかな?
 ドロップオフばっかり潜ってたので、ツバメ魚を見なかっただけだという気もする・・・。
            | 
      
        | 
 | 14) チョウチョウウオフェチの俺っちにとっては嬉しいフウライチョウチョウウオ。ニセフウライチョウチョウウオは見たことあるのだが、フウライチョウチョウウオを見たのはこれが初めて。
 
 やっぱ、本物フウライチョウチョウウオは風格があるぜ!
 | 
      
        | ☆潜水データ 最大水深;21.0m
 平均水深;12.5m
 潜水時間;55分
 透視度;16m
 水温;28℃
 海況;流れ
  | ☆おまけ初日3本とも50分越えのロングダイブ!
 ベテランダイバーと一緒に潜って、足引っ張ってはいかんと思って緊張してたので、普段より疲れた。
 エグジット後、ボートに戻って吐いちゃった(T▽T)
 船酔いじゃなくて、体力がゼロになって吐くという、サイパン強行軍ではよくあるパターン
 |